### - 12-08-2019

808-224-7857
Honolulu, Hawaii

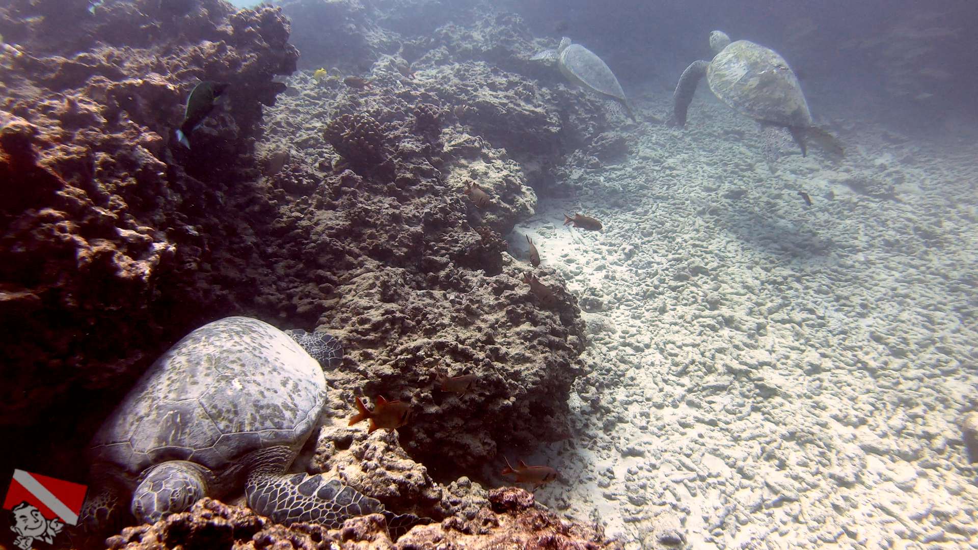
Scuba diving in Hawaii on 12-08-2019

information about our ### dive Charter on 12-08-2019.

Check out all the ### information from 12-08-2019 including dive sites, dive depth and conditions on our ### diving blog post for 12-08-2019 diving charter in Honolulu, Hawaii.


Today's ### 12-08-2019 dive charter pictures

### diving with Rainbow Scuba Hawaii on 12-08-2019

video information